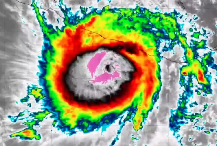
De acuerdo con la Comisión Nacional del Agua (Conagua), el huracán Otis incrementó de categoría con mucha rapidez, pues en cuestión de horas pasó de la categoría 3 a la 4 y esperan que muy pronto alcance la 5.
Esperan que llegue a Acapulco, Guerrero en las siguientes horas y será hasta el próximo miércoles 25 de octubre cuando finalmente comience a degradar su categoría y pierda fuerza.
Actualmente el huracán se encuentra a unos kilómetros de Punta Maldonado y al sur de Acapulco, todo en el estado de Guerrero, el cual se espera que sea la región más afectada.
Estados con lluvias por el huracán Otis
De acuerdo con el Servicio Meteorológico Nacional (SMN), esperan que en las costas de Guerrero y Oaxaca haya fuertes rachas de vientos y un oleaje de 6 a 8 metros de altura, por lo que se suspendieron todas las actividades marinas.
Asimismo, se esperan fuertes lluvias en Guerrero y Oaxaca, chubascos con lluvias puntuales fuertes en Michoacán, Estado de México, Morelos, Puebla y Ciudad de México.
Suspensión de clases
Debido a las intensas lluvias , la Secretaría de Educación de Guerrero anunció que suspenderían clases en todos los niveles educativos de escuelas públicas y privadas en los municipios de Acapulco y Costa Chica.
Esto será en el turno vespertino este martes 24 de octubre y se está a la espera de saber si se suspenderán clases para el miércoles 25 de octubre.
Esta tarde, #Otis incrementó la velocidad de sus #Vientos y ahora es #Huracán categoría 4 en la escala #SaffirSimpson. No se descarta la posibilidad de que el sistema alcance la categoría 5, durante las próximas horas.
— CONAGUA Clima (@conagua_clima) October 25, 2023
Conoce más detalles en 👉https://t.co/VVYNAkgh8w pic.twitter.com/3oFIuBMDcg
Artículos relacionados: ¿Cuándo termina la temporada de huracanes en México 2023? 🌀☔
